CRECI MG: PJ9477 |
(034) 99801-9700 WhatsApp
|
(034) 3671-2682
| contato@luizimoveissg.com.br
Luiz Imóveis SG
Luiz Imóveis SG
MENU
  • Home
  • Quem Somos
  • Imóveis
  • Serviços
    • Compra e Venda de Imóveis
    • Administração de Imóveis
    • Avaliação Imobiliária
    • Regularização de Documentação
  • Simuladores
  • Cadastre Seu Imóvel
  • Encomende Seu Imóvel
  • Contato
  • Localização
Banner 1
Banner 2
Banner 3
Previous Next
IMÓVEIS
  • Residencial: Venda (88)
  • Comercial: Venda (38)
  • Comercial: Locação (2)
  • Comercial: Passar o Ponto (1)
  • Busca Avançada

Vendo Ágio Lote Comercial Avenida Esquina Guarda dos Ferreiros MG

Home / Imóveis / Vendo Ágio Lote Comercial Avenida Esquina Guarda dos Ferreiros MG
Código do imóvel:
90332
Imóvel em Lançamento, em Construção, em Reforma
Tipo de imóvel:
Comercial - Terreno
Operação:
Venda: R$ 40.000,00
Localização:
São José da Lagoa - Guarda dos Ferreiros/MG
Endereço:
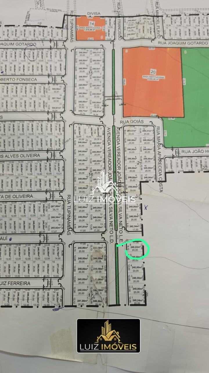
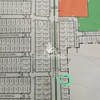
Avenida Vereador João Lúcio , 1 Lote Esquina Comercial
CEP:
38800-000
Aceita financiamento.
Aceita permuta por:
Veículo, Estudo Proposta
Área do Terreno:
240 m²
Descrição
🔥 OPORTUNIDADE ÚNICA – LOTE COMERCIAL DE ESQUINA! 🔥 📍 Quadra 23 – Lote 6 Avenida Vereador João Lúcio da Silva Neto c/ Rua Rio Piauí Loteamento São José da Lagoa – Guarda dos Ferreiros (MG) 📐 Medidas do Lote: Frente (Avenida Vereador João Lúcio da Silva Neto): 17,00 m Lateral direita (Rua Rio Piauí): 12,09 m Lateral esquerda: 9,12 m Fundos: 20,00 m Área total: 240,22 m² 💼 Ágio: R$ 40.000,00 💸 Parcela mensal: R$ 670,00 🧾 IPTU: R$ 60,00 ✨ Destaques: Lote comercial de esquina Loteamento em fase de construção Ainda não liberado para construir Aceito veículo de menor ou maior valor (passeio) Oportunidade excelente para investidores 🚀 Não perca essa oportunidade! --- 📲 Luiz Imóveis – Lugar certo para investir 📞 WhatsApp: (34) 99801-9700 (Vivo) ☎️ (34) 3671-2682 🌐 www.luizimoveissg.com.br CRECI-MG PJ 9477

Se interessou pelo imóvel? Deseja mais informações? Clique no botão abaixo para nos enviar uma mensagem.

Interesse no Imóvel “Vendo Ágio Lote Comercial Avenida Esquina Guarda dos Ferreiros MG ”

90332

Visualizações: 157

SOLICITE CONTATO

Depoimentos

Excelente atentimento, estão de párabéns!

Roberto
Enviar Um Depoimento

INSTITUCIONAL

INSTITUCIONAL
  • Home
  • Quem Somos
  • Imóveis
  • Serviços
  • Simuladores
  • Cadastre Seu Imóvel
  • Encomende Seu Imóvel
  • Contato
  • Localização

CONTATO

(034) 99801-9700 WhatsApp
(034) 3671-2682
contato@luizimoveissg.com.br

LOCALIZAÇÃO

Rua Lázaro Rochael, 215
Boa Esperança, São Gotardo, MG
38800-000
Ver Mapa

REDES SOCIAIS

Acessos: 5182
Criação de Sites VerMais Internet – Admin